autoua
×
Autoua.netФорумБудівництво та ремонт нерухомості

как меряет БТИ (с примером)?

старый писатель **
Сообщения: 707
С нами с 22.03.2006

как меряет БТИ (с примером)?
      31 января 2008 в 18:33 Гілками

процитирую с другого форума, чтобы не посылать туда-сюда...
может ли такое быть?

В ответ на:

вот что подумалось...
если стены неровные, а правильно-обученные люди из БТИ меряют квартиры, то мы из себя представляем легкую добычу для наживы.

на словах долго рассказывать, но вот вам пример кривой межкомнатной перегородки и как это приводит к фиктивному увеличению площади помещений при тупом расчете длина*высота.
математически из-за кривой стены должна бы уменьшится (потому что кривая стена длиннее ровной и съедает бОльшую площадь), но фактически могут посчитать тупо не в нашу пользу (как в примере).
как видно из картинки, БТИ реально может насчитать 0.9 лишних квадратных метра (если бы с одной стороны стену сместили на 20 см ).
а это как-никак примерно 1300$-1400$, которые сдерут с НАС из-за ИХ кривой стены!.. ахтунг! с какой стати мы будем платить за их брак?!





Змінено VeryPoor (18:48 31/01/2008)


Роздрукувати   Нагадати!   Сповістити модератора   Відправити по E-mail
энтузиаст ***
54 года, Киев
Сообщения: 218
С нами с 05.10.2006

Re: как меряет БТИ (с примером)? [Re: VeryPoor]
      31 января 2008 в 19:30 Гілками

Они так всегда меряют.

Роздрукувати   Нагадати!   Сповістити модератора   Відправити по E-mail
пАдонАк **
46 лет (30 лет за рулем), Киев
Сообщения: 8614
С нами с 08.11.2001

Re: как меряет БТИ (с примером)? [Re: VeryPoor]
      31 января 2008 в 19:56 Гілками

на рисунке неправильно (не логично) указаны размеры, например 4980.
по идее должно быть 4800, и не внизу комнаты, а вверху.
-->

Роздрукувати   Нагадати!   Сповістити модератора   Відправити по E-mail
старый писатель ***
Киев
Сообщения: 956
С нами с 01.03.2006

Re: как меряет БТИ (с примером)? [Re: VeryPoor]
      31 января 2008 в 20:29 Гілками

Большинство новостроев при продаже идут с "вилкой" по площади в 3-4% от общей площади квартиры.Внимательно читайте документацию.Если подписались по договором-либо Вам денежку вернут,либо доплатите

Роздрукувати   Нагадати!   Сповістити модератора   Відправити по E-mail
старый писатель **
Сообщения: 707
С нами с 22.03.2006

Re: как меряет БТИ (с примером)? [Re: _K2_]
      31 января 2008 в 20:33 Гілками

В ответ на:

на рисунке неправильно (не логично) указаны размеры, например 4980.
по идее должно быть 4800, и не внизу комнаты, а вверху.




в математике все логично. в самом верху и будет 4800 (только на уровне замера 3200). ну может чуть меньше, потому что стена не перпендикулярна замеру и вдоль замера чуточку толще.
4980 - нормальный там размер для такого расклада.

Змінено VeryPoor (20:44 31/01/2008)


Роздрукувати   Нагадати!   Сповістити модератора   Відправити по E-mail
старый писатель **
Сообщения: 707
С нами с 22.03.2006

Re: как меряет БТИ (с примером)? [Re: Галка]
      31 января 2008 в 20:43 Гілками

В ответ на:

Большинство новостроев при продаже идут с "вилкой" по площади в 3-4% от общей площади квартиры.Внимательно читайте документацию.Если подписались по договором-либо Вам денежку вернут,либо доплатите




это-то тут причем?
если у меня в проекте указана площадь с точностью до десятых метра квадратного, а после обмера БТИ они откуда-то берут еще пару квадратов, то откуда они берутся? вот в чем вопрос.
может ли БТИ быть в сговоре с застройщиком? мерять-то можно по-разному и получать результаты дельты как в плюс, так и в минус. что-то не припоминаю, чтобы кому-то намеряли меньше, чем в проекте.


Роздрукувати   Нагадати!   Сповістити модератора   Відправити по E-mail
старый писатель ***
Киев
Сообщения: 956
С нами с 01.03.2006

Re: как меряет БТИ (с примером)? [Re: VeryPoor]
      31 января 2008 в 21:51 Гілками

Я имела ввиду свою контору.При подготовке продажных планов на каждом листе с планом квартиры я пишу:"Площадь квартиры приведена без учета слоя штукатурки и может быть изменена в пределах 4% от общей площади".Посчитай свой допуск.
Криворуких строителей везде хватает,а БТИ действительно меряет строго-застройщик платит городу проценты от площади построеного.Кому выгодно добавить пару квадратов?Мой шеф говорит:"Нам проще вернуть человеку стоимость 0,5м2,чем исправлять косяки строителей."


Роздрукувати   Нагадати!   Сповістити модератора   Відправити по E-mail
spd
IesuiT **
36 лет за рулем, Киев
Сообщения: 38264
С нами с 01.10.2005

Re: как меряет БТИ (с примером)? [Re: VeryPoor]
      31 января 2008 в 23:04 Гілками

В ответ на:

правильно-обученные люди из БТИ меряют квартиры


У них,кажется, для этого есть специально принятая методика обмера помещений. А вот указанная в проекте точность до десятых может зависеть от расположения звезд.

Роздрукувати   Нагадати!   Сповістити модератора   Відправити по E-mail
важничающий писатель ***
51 год, Под Киевом
Сообщения: 2261
С нами с 01.08.2005

Re: как меряет БТИ (с примером)? [Re: VeryPoor]
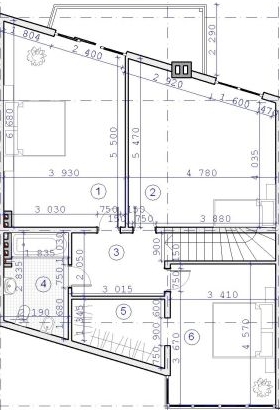
      1 февраля 2008 в 08:54 Гілками Прикріплені файли (0 завантажити)

Даже и не знаю что тебе сказать хорошего...
Посмотри на аттач и на свой пример...
У меня все посчитано идеально
Хотя простора для деятельности в русле твоего поста там было - сам понимаешь

Даже и не знаю что тебе сказать хорошего.Посмотри на аттач и на свой пример
Best Regards... -->

Роздрукувати   Нагадати!   Сповістити модератора   Відправити по E-mail
важничающий писатель **
49 лет, Киев
Сообщения: 1694
С нами с 24.09.2007

Re: как меряет БТИ (с примером)? [Re: VeryPoor]
      1 февраля 2008 в 10:40 Гілками

У меня была такая история, площадь в инвестдоговоре оказалась на 5 кв.м. меньше реальной по БТИ ( чета там с балконами-лоджиями связано, х.з), доплатил по 1куе за квадрат (по инвестдоговору цена зафиксирована) без пререканий, так как сейчас цена за квадрат в разы больше, т.е. я официально купил квартиру большей площали по старой цене, вдруг когда продавать соберусь?

Роздрукувати   Нагадати!   Сповістити модератора   Відправити по E-mail
старый писатель **
Сообщения: 707
С нами с 22.03.2006

Re: как меряет БТИ (с примером)? [Re: xemuliam]
      1 февраля 2008 в 12:46 Гілками

В ответ на:

Даже и не знаю что тебе сказать хорошего...
Посмотри на аттач и на свой пример...
У меня все посчитано идеально
Хотя простора для деятельности в русле твоего поста там было - сам понимаешь




так у тебя по плану стены под углом! это не тот случай.
я говорю про гипотетический случай, что стену криво построили (а должна быть ровно). и вот при кривопоставленной стене БТИ выбирает специально наиболее удаленные друг от друга участки "якобы параллельных" стен, чтобы увеличить величину общего замера в пользу застройщика.


Роздрукувати   Нагадати!   Сповістити модератора   Відправити по E-mail
старый писатель **
Сообщения: 707
С нами с 22.03.2006

Re: как меряет БТИ (с примером)? [Re: Искандер]
      1 февраля 2008 в 12:57 Гілками

В ответ на:

У меня была такая история, площадь в инвестдоговоре оказалась на 5 кв.м. меньше реальной по БТИ ( чета там с балконами-лоджиями связано, х.з)




с балконами все ясно. точнее с лоджиями.
до какого-то там числа пару лет назад балкон считался с коэффициентом 0.3 от его реальной площади, а лоджия с коєффициентом 0.6. то есть, если балкон геометрически 3 кв.м., то в общею площадь записывали на него только 0,9 кв.м.
а вот примерно два года назад приняли поправку считать лоджию с коэффициентом 1. то есть, площадь лоджии теперь тупо прибавляется целиком. с балконом уже не помню, сейчас то ли 0.5 сделали, то ли... рыть надо.
так что если площади твоих балконов-лоджий были большие, вполне могло квадратов добавиться в обмере, холя реально квартира осталась прежней.


Роздрукувати   Нагадати!   Сповістити модератора   Відправити по E-mail
старожил ***
46 лет, Обухов
Сообщения: 616
С нами с 31.03.2005

Re: как меряет БТИ (с примером)? [Re: VeryPoor]
      1 февраля 2008 в 14:23 Гілками

В ответ на:

В ответ на:

У меня была такая история, площадь в инвестдоговоре оказалась на 5 кв.м. меньше реальной по БТИ ( чета там с балконами-лоджиями связано, х.з)




с балконами все ясно. точнее с лоджиями.
до какого-то там числа пару лет назад балкон считался с коэффициентом 0.3 от его реальной площади, а лоджия с коєффициентом 0.6. то есть, если балкон геометрически 3 кв.м., то в общею площадь записывали на него только 0,9 кв.м.
а вот примерно два года назад приняли поправку считать лоджию с коэффициентом 1. то есть, площадь лоджии теперь тупо прибавляется целиком. с балконом уже не помню, сейчас то ли 0.5 сделали, то ли... рыть надо.
так что если площади твоих балконов-лоджий были большие, вполне могло квадратов добавиться в обмере, холя реально квартира осталась прежней.




А подскажите пожалуйста, лоджия - это балкон который примыкает к трём стенам здания? Всё остальное считается балконом. Или как-то всё по другому.


Роздрукувати   Нагадати!   Сповістити модератора   Відправити по E-mail
старый писатель **
Сообщения: 707
С нами с 22.03.2006

Re: как меряет БТИ (с примером)? [Re: Rossario]
      1 февраля 2008 в 14:28 Гілками

В ответ на:

А подскажите пожалуйста, лоджия - это балкон который примыкает к трём стенам здания? Всё остальное считается балконом.




именно. причем если мне не изменяет мой маразм, строители в новостроях лоджии обязаны стеклить. если не стеклят, то это нарушение.


Роздрукувати   Нагадати!   Сповістити модератора   Відправити по E-mail
старый писатель ****
Киев
Сообщения: 918
С нами с 21.10.2005

Re: как меряет БТИ (с примером)? [Re: VeryPoor]
      4 февраля 2008 в 13:27 Гілками

В ответ на:

В ответ на:

А подскажите пожалуйста, лоджия - это балкон который примыкает к трём стенам здания? Всё остальное считается балконом.




именно. причем если мне не изменяет мой маразм, строители в новостроях лоджии обязаны стеклить. если не стеклят, то это нарушение.



А нельзя ли чуть конкретнее - сдается дом, лоджия...но стеклить ее не собираются... где поискать?


Роздрукувати   Нагадати!   Сповістити модератора   Відправити по E-mail
старый писатель **
Сообщения: 707
С нами с 22.03.2006

Re: как меряет БТИ (с примером)? [Re: Benedik]
      5 февраля 2008 в 16:58 Гілками

В ответ на:

А нельзя ли чуть конкретнее - сдается дом, лоджия...но стеклить ее не собираются... где поискать?




попробовал найти - ниасилил.
может почудилось?


Роздрукувати   Нагадати!   Сповістити модератора   Відправити по E-mail
старый писатель ***
Киев
Сообщения: 956
С нами с 01.03.2006

Re: как меряет БТИ (с примером)? [Re: VeryPoor]
      5 февраля 2008 в 19:27 Гілками

Нигде не поискать-необязательно лоджии остекляются.Стеклят чаще для поднятия стоимости-балкон,терраса-коэф.0,3;остекленный балкон-коэф.0,5;остекленная лоджия-коэф.0,8.Обязательно стеклятся все балконы и лоджии в высотках,т.е.выше 75м(если не изменяет мой склероз в ДБНе это не прописано,но могу ошибаться )

Роздрукувати   Нагадати!   Сповістити модератора   Відправити по E-mail
старый писатель **
Сообщения: 707
С нами с 22.03.2006

Re: как меряет БТИ (с примером)? [Re: Галка]
      6 февраля 2008 в 15:41 Гілками

В ответ на:

поднятия стоимости-балкон,терраса-коэф.0,3;остекленный балкон-коэф.0,5;остекленная лоджия-коэф.0,8.




понижающий коэффициент:
балконы — 0,3;
лоджии — 0,5;
застекленные балконы — 0,8;
застекленные лоджии — 1,0.


Роздрукувати   Нагадати!   Сповістити модератора   Відправити по E-mail
старый писатель ****
Киев
Сообщения: 918
С нами с 21.10.2005

Re: как меряет БТИ (с примером)? [Re: VeryPoor]
      7 февраля 2008 в 10:34 Гілками

В ответ на:

В ответ на:

поднятия стоимости-балкон,терраса-коэф.0,3;остекленный балкон-коэф.0,5;остекленная лоджия-коэф.0,8.




понижающий коэффициент:
балконы — 0,3;
лоджии — 0,5;
застекленные балконы — 0,8;
застекленные лоджии — 1,0.



спасибо... а то скоро буду принимать...
может кто-то, кто через это проходил, осветит "подводные" камни...


Роздрукувати   Нагадати!   Сповістити модератора   Відправити по E-mail
Autoua.netФорумБудівництво та ремонт нерухомості
Додаткова інформація
0 користувачів і 21 що побажали залишитися невідомими читають цей форум.

Модератор:  moderator, Outdriver 

Роздрукувати всю тему

Права
      Ви не можете створювати нові теми
      Ви не можете відповідати на повідомлення
      HTML дозволений
      UBBCode дозволений

Рейтинг:
Переглядів теми: 8857

Оціните цю тему

Перейти в

Правила конференції | Календар | FAQ | Карта розділу | Мобільна версія