autoua
×
Autoua.netФорумПроблеми на дорогах

Очередная кормушка Дайцев? Разъясните (+)

R.I.P. **
51 год, Киев
Сообщения: 16808
С нами с 11.01.2003

Очередная кормушка Дайцев? Разъясните (+)
      13 февраля 2009 в 03:27 Гілками Прикріплені файли (0 завантажити)

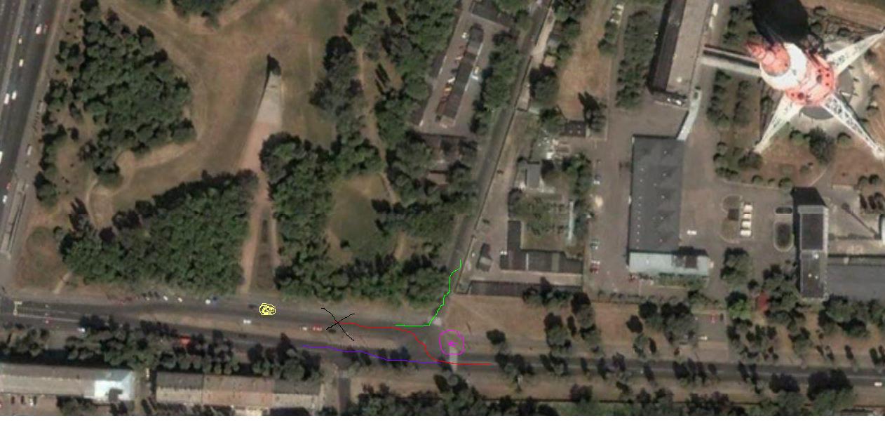
Едем по Дорогожицкой в направлении Телиги. Присутствует "карман", после пересечения с Оранжерейной. Тама, где "вход" в "Бабий Яр". Собственно сама ул. Оранжерейная тянется от Мельникова и до Дягтеревской поперек. До Дорогожицкой от Мельникова - она односторонняя. По ходу - я не могу с Дорогожицкой повернуть в "карман". Только те, кто с Мельникова едут по Оранжерейной и направо поворачивают --- имеют право? У меня, прям перед перекрестком с Оранжерейной - знак "Только прямо". Стоят в том "кармане" почти каждый день. Я был уверен, что можно туды поехать. Я как бы перекресток проехал по главной, знак уже не действует (как по мне - он висит для того, чтобы на ул. с односторонним движением не повернули), и нырнул в "карман".

Вот боюсь, что не так это. 2 раза за неделю так маневрировал (мне в здание напротив - не прересекать же осевую...парковался в "кармане", едучи по Дорогожицкой). Стояли и ловили. КОГО? Тех, кто с Оранжерейной направо - вроде не трогали. Что видел, пока парковался. Выходит мне 2 раза повезло, т.к. помню, что разбирались уже с авто, кады я так резвенько залетал в "карман" с Дорогожицкой и мимо них проезжал.

Что-то перепугался... Ща объезжаю квартал и приезжаю с той стороны Дорогожицкой. Чтобы по правилам во двор просто повернуть направо.

Кто что скажет? И еще раз предупреждаю - последние недели постоянно там стоят. Вечером - 100%. Недалеко от базы, так сказать Кроме как на тот знак - не понимаю, чего им еще там ловить...

Нарисовал, как мог

Красное - мой путь для парковки
Фиолетовое - типа так по правилам
Кружочек со стрелочкой типа - это знак "Только прямо"
Зеленое - это кто с Мельникова едет и в "карман" ныряет. Их не трогают.
Жёлтое чмо - это засада дайцев.


Едем по Дорогожицкой в направлении Телиги. Присутствует "карман", после пересечения с Оранжерейной

Змінено WildHawk (03:56 13/02/2009)


Роздрукувати   Нагадати!   Сповістити модератора   Відправити по E-mail
СуперСтар **
42 года (19 лет за рулем), Киев
Сообщения: 4900
С нами с 08.05.2007

Re: Очередная кормушка Дайцев? Разъясните (+) [Re: WildHawk]
      13 февраля 2009 в 08:43 Гілками

Ничего не напоминает? http://forum.autoua.net/showflat.php?Cat=0&Board=roadlaw&Number=2714939
Даже рисунки похожи

Змінено tosha1983 (08:46 13/02/2009)


Роздрукувати   Нагадати!   Сповістити модератора   Відправити по E-mail
Информированный оптимист **
43 года (18 лет за рулем), Киев
Сообщения: 12207
С нами с 01.10.2008

Re: Очередная кормушка Дайцев? Разъясните (+) [Re: WildHawk]
      13 февраля 2009 в 09:48 Гілками

А ты не нарушай - и никто тебя трогать не будет! Там ВСЕГДА висел знак "Только прямо" - а значит надо ехать прямо, а не заезжать в карман. Вечером туда заезжают самые хитросделаные, чтобы быстрее всех вклиниться к светофору Вот их гайцы походу и жучат! При этом по ходу едущие с Оранжерейной могут и не ожидать такого поворота событий и ехать себе вперед... а там ты, который думал что знак этот только для того стоит, что там одностороннее движение и решил туда поехать!!!

Роздрукувати   Нагадати!   Сповістити модератора   Відправити по E-mail
важничающий писатель *
39 лет, Донецк
Сообщения: 1639
С нами с 12.09.2006

Re: Очередная кормушка Дайцев? Разъясните (+) [Re: keshik]
      13 февраля 2009 в 09:57 Гілками

а что за красная высокая [*****] в правом верхнем углу?

Роздрукувати   Нагадати!   Сповістити модератора   Відправити по E-mail
43 года, Киев
Сообщения: 12343
С нами с 17.03.2008

Re: Очередная кормушка Дайцев? Разъясните (+) [Re: Вадимка]
      13 февраля 2009 в 09:59 Гілками

Телевышка.

Роздрукувати   Нагадати!   Сповістити модератора   Відправити по E-mail
СуперСтар **
42 года (19 лет за рулем), Киев
Сообщения: 4900
С нами с 08.05.2007

Re: Очередная кормушка Дайцев? Разъясните (+) [Re: Вадимка]
      13 февраля 2009 в 10:03 Гілками

В ответ на:

а что за красная высокая [*****] в правом верхнем углу?



Телебашня


Роздрукувати   Нагадати!   Сповістити модератора   Відправити по E-mail
Супер писатель! **
119 лет (29 лет за рулем), Киев
Сообщения: 3153
С нами с 21.11.2006

Re: Очередная кормушка Дайцев? Разъясните (+) [Re: keshik]
      13 февраля 2009 в 10:42 Гілками

В ответ на:

Вечером туда заезжают самые хитросделаные, чтобы быстрее всех вклиниться к светофору Вот их гайцы походу и жучат!




Для хитросделанных на выезде с кармана, висит знак "Уступи дорогу"...

В ответ на:

При этом по ходу едущие с Оранжерейной могут и не ожидать такого поворота событий и ехать себе вперед... а там ты, который думал что знак этот только для того стоит, что там одностороннее движение и решил туда поехать!!!




А каким макаром по ходу едущие с Оранжерейной едущие вперёд (тоесть прямо), могут появится в кармане?


Роздрукувати   Нагадати!   Сповістити модератора   Відправити по E-mail
пользователь **
48 лет (30 лет за рулем), Белая Церковь
Сообщения: 18004
С нами с 24.06.2003

Re: Очередная кормушка Дайцев? Разъясните (+) [Re: WildHawk]
      13 февраля 2009 в 11:20 Гілками

когда там тянучка всегда так еду, даже ГАИ стояло.Меня не остановили ни разу... Надо смотреть на знаки

Роздрукувати   Нагадати!   Сповістити модератора   Відправити по E-mail
Информированный оптимист **
43 года (18 лет за рулем), Киев
Сообщения: 12207
С нами с 01.10.2008

Re: Очередная кормушка Дайцев? Разъясните (+) [Re: Джек]
      13 февраля 2009 в 11:56 Гілками


В ответ на:

Для хитросделанных на выезде с кармана, висит знак "Уступи дорогу"...




Это знак висит для тех, кто с Оранжерейной повернул на право к телиги, т.к. Едущих по Дорогожицкой там априори быть не должно!


В ответ на:

А каким макаром по ходу едущие с Оранжерейной едущие вперёд (тоесть прямо), могут появится в кармане?




Не понял вопроса... Они там появляются с помощью функции "поворот на право"


Роздрукувати   Нагадати!   Сповістити модератора   Відправити по E-mail
важничающий писатель ***
27 лет за рулем, Киев
Сообщения: 2006
С нами с 24.09.2008

Re: Очередная кормушка Дайцев? Разъясните (+) [Re: Вадимка]
      13 февраля 2009 в 12:43 Гілками

В ответ на:

а что за красная высокая [*****] в правом верхнем углу?



Посадочный фонарь для лёнчега


Роздрукувати   Нагадати!   Сповістити модератора   Відправити по E-mail
энтузиаст ****
46 лет, Киев
Сообщения: 284
С нами с 26.04.2004

Re: Очередная кормушка Дайцев? Разъясните (+) [Re: WildHawk]
      13 февраля 2009 в 13:31 Гілками

Я думаю они там ловят тех, кто едет по Дорогожицкой со стороны Шамрыло и Телиги. Т.к. с Дорогожицкой (если ехать от Шамрыло) запрещен поворот налево на Телиги, то едут прямо и в этом месте разворачиваются на Дорогожицкой через карман, чтобы потом направо на Телеги уйти. Я таких разворотунов там регулярно наблюдаю.

Роздрукувати   Нагадати!   Сповістити модератора   Відправити по E-mail
важничающий писатель ***
Киев
Сообщения: 1946
С нами с 14.10.2008

Re: Очередная кормушка Дайцев? Разъясните (+) [Re: keshik]
      13 февраля 2009 в 15:09 Гілками

Вы называете "ул. Оранжерейной" проезд от Мельникова до Дорогожицкой между Бабьим Яром и телевышкой (на картинке - сверху перпендикулярно Дорогожицкой).
А Ваш оппонент называет "ул. Оранжерейной" улицу от Дегтяревской до Дорогожицкой (на картинке - снизу перпендикулярно Дорогожицкой).
Вот и путаница получилась

Змінено Абрикос (15:11 13/02/2009)


Роздрукувати   Нагадати!   Сповістити модератора   Відправити по E-mail
энтузиаст ***
45 лет, Киев
Сообщения: 241
С нами с 26.10.2007

Re: Очередная кормушка Дайцев? Разъясните (+) [Re: WildHawk]
      13 февраля 2009 в 15:15 Гілками

Тут про это же.. человека штрафанули именно на этом месте: http://forum.autoua.net/showflat.php?Cat=0&Number=2714939

Роздрукувати   Нагадати!   Сповістити модератора   Відправити по E-mail
Autoua.netФорумПроблеми на дорогах
Додаткова інформація
0 користувачів і 110 що побажали залишитися невідомими читають цей форум.

Модератор:  AlMat, LordAmid, Yorc, moderator, Alexandr 

Роздрукувати всю тему

Права
      Ви не можете створювати нові теми
      Ви не можете відповідати на повідомлення
      HTML дозволений
      UBBCode дозволений

Рейтинг:
Переглядів теми: 1781

Оціните цю тему

Перейти в

Правила конференції | Календар | FAQ | Карта розділу | Мобільна версія