autoua
×
Autoua.netФорумAutoua форум

Новая схема движения АП Киев

СуперСтар *
Киев
Сообщения: 5702
С нами с 16.07.2010

Новая схема движения АП Киев
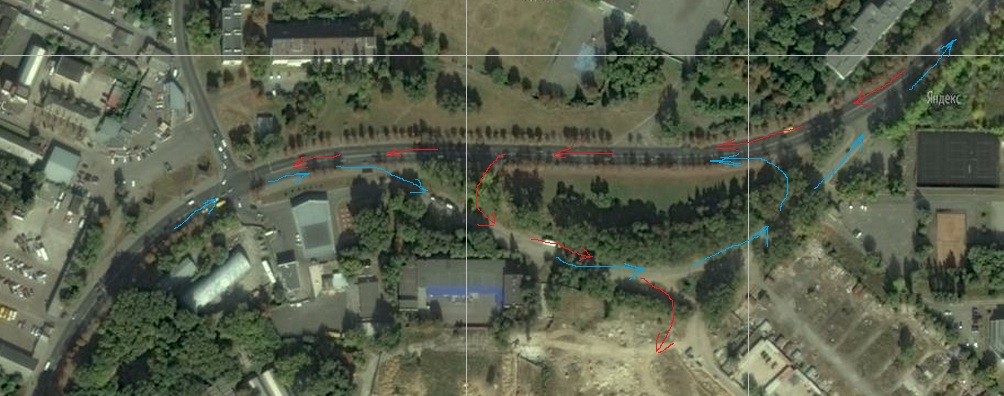
      11 июня 2012 в 09:10 Гілками Прикріплені файли (0 завантажити)

Севодня утром подьезжая по воздухофлотскому к работе, удивился новой схеме движения.
перед заправкой ОККО ,на дуге,зделали одностороннее движение (в сторону жулян) нарисована прерывистая рядом с двойной осевой для поворота налево..теперь можно повернуть в сторону нового терминала АП Киев.
Со стороны жулян транспорт пустили через заправку ОККО за остановкой ОТ поворот направо на новопроложеную дорогу в сторону воздухофлотского. Светофор так и не убрали.Схему поправил

Севодня утром подьезжая по воздухофлотскому к работе, удивился новой схеме движения.перед заправкой ОККО ,на дуге,зделали одностороннее движение (в сторону жулян) нарисована прерывистая рядом с двойной осевой для поворота налево

Змінено Yarri (13:18 11/06/2012)


Роздрукувати   Нагадати!   Сповістити модератора   Відправити по E-mail
подсевший на форум ***
Киев
Сообщения: 22702
С нами с 20.01.2008

Re: Новая схема движения АП Киев [Re: Yarri]
      11 июня 2012 в 10:48 Гілками

Через опу,как всегда.

Роздрукувати   Нагадати!   Сповістити модератора   Відправити по E-mail
Достоевский *
Киевские мы
Сообщения: 9975
С нами с 13.02.2011

Re: Новая схема движения АП Киев [Re: Yarri]
      11 июня 2012 в 10:53 Гілками

И где они предлагают развернуться, чтоб поехать с Волынской в сторону Севастопольской пл.? Или там есть теперь движение прямо если стоять на перекрестке Волынской?

Змінено Vaschek (10:54 11/06/2012)


Роздрукувати   Нагадати!   Сповістити модератора   Відправити по E-mail
СуперСтар *
Киев
Сообщения: 5702
С нами с 16.07.2010

Re: Новая схема движения АП Киев [Re: Vaschek]
      11 июня 2012 в 11:03 Гілками

Vaschek 11.06.2012 10:53 пишет:

И где они предлагают развернуться, чтоб поехать с Волынской в сторону Севастопольской пл.? Или там есть теперь движение прямо если стоять на перекрестке Волынской?



на светофоре прямо...как на заправку ОККО заезжать


Роздрукувати   Нагадати!   Сповістити модератора   Відправити по E-mail
IesuiT **
Киев
Сообщения: 35918
С нами с 25.08.2004

Re: Новая схема движения АП Киев [Re: Yarri]
      11 июня 2012 в 11:42 Гілками

Интересно, скоко ОККО пробашляло?


Роздрукувати   Нагадати!   Сповістити модератора   Відправити по E-mail
патриарх *
Киев
Сообщения: 1110
С нами с 27.07.2002

Re: Новая схема движения АП Киев [Re: Yarri]
      11 июня 2012 в 11:42 Гілками

Сегодня ехал там. Очередное покращення наступило. Уроды.

Им и в голову наверно не пришло, что люди не только из аэропорта и в аэропорт там ездят.


Роздрукувати   Нагадати!   Сповістити модератора   Відправити по E-mail
Достоевский ***
Киев
Сообщения: 7905
С нами с 23.07.2001

Re: Новая схема движения АП Киев [Re: Yarri]
      11 июня 2012 в 12:26 Гілками

Обычно по новосделанному маршруту хитросделанные объезжали тянучку по воздухофлотскому и выезжали через ОККО, теперь низя. Больше мыслей нет зачем это сделали .

Роздрукувати   Нагадати!   Сповістити модератора   Відправити по E-mail
Laz
Супер писатель! ***
Вильнюс-Вишневое
Сообщения: 3355
С нами с 13.07.2001

Re: Новая схема движения АП Киев [Re: Yarri]
      11 июня 2012 в 13:08 Гілками Прикріплені файли (0 завантажити)

немножко не так, со стороны Жулян проезд за заправкой с 2-х рядов налево

немножко не так, со стороны Жулян проезд за заправкой с 2-х рядов налево


Роздрукувати   Нагадати!   Сповістити модератора   Відправити по E-mail
СуперСтар *
Киев
Сообщения: 5702
С нами с 16.07.2010

Re: Новая схема движения АП Киев [Re: Laz]
      11 июня 2012 в 13:14 Гілками Прикріплені файли (0 завантажити)

Схему поправил. Вот фото со стороны заезда с воздухофлотского

Схему поправил. Вот фото со стороны заезда с воздухофлотского


Роздрукувати   Нагадати!   Сповістити модератора   Відправити по E-mail
СуперСтар *
Киев
Сообщения: 5702
С нами с 16.07.2010

Re: Новая схема движения АП Киев [Re: Yarri]
      11 июня 2012 в 13:17 Гілками Прикріплені файли (0 завантажити)

Вот фура за заправкой на новую дорогу выезжает

Вот фура за заправкой на новую дорогу выезжает


Роздрукувати   Нагадати!   Сповістити модератора   Відправити по E-mail
старый писатель ****
30 лет за рулем, Киев
Сообщения: 779
С нами с 03.03.2004

Re: Новая схема движения АП Киев [Re: Yarri]
      11 июня 2012 в 13:28 Гілками

+ еще убрали светофорную стрелку в сторону окружной - заменили "картонной" и наконец-то убрали последний знак "СТОП" на переезде.

Роздрукувати   Нагадати!   Сповістити модератора   Відправити по E-mail
Супер писатель! ***
40 лет (19 лет за рулем), Киев
Сообщения: 3096
С нами с 24.05.2004

Re: Новая схема движения АП Киев [Re: alex-f]
      11 июня 2012 в 18:09 Гілками

alex-f 11.06.2012 13:28 пишет:

+ еще убрали светофорную стрелку в сторону окружной - заменили "картонной" и наконец-то убрали последний знак "СТОП" на переезде.



Да, вот это полезно


Роздрукувати   Нагадати!   Сповістити модератора   Відправити по E-mail
Достоевский *
43 года за рулем, Вишневое-Sosnowiec
Сообщения: 8681
С нами с 07.02.2008

Re: Новая схема движения АП Киев [Re: Manson]
      12 июня 2012 в 09:05 Гілками

ДА ПО БАРАБАНУ!!!! как стояла тягучка от волынской так и стоит. Все по старому норовят из правой полосы повернуть.

Роздрукувати   Нагадати!   Сповістити модератора   Відправити по E-mail
member
Киев
Сообщения: 151
С нами с 16.10.2003

Re: Новая схема движения АП Киев [Re: alex-f]
      12 июня 2012 в 09:54 Гілками

"+ еще убрали светофорную стрелку в сторону окружной - заменили "картонной" и наконец-то убрали последний знак "СТОП" на переезде."

+1

Змінено Y.U.A. (09:55 12/06/2012)


Роздрукувати   Нагадати!   Сповістити модератора   Відправити по E-mail
энтузиаст ***
Киев
Сообщения: 310
С нами с 18.05.2011

Re: Новая схема движения АП Киев [Re: alex-f]
      13 июня 2012 в 09:01 Гілками

alex-f 11.06.2012 13:28 пишет:

+ еще убрали светофорную стрелку в сторону окружной - заменили "картонной" и наконец-то убрали последний знак "СТОП" на переезде.



Да, теперь немного проще на том участке.


Роздрукувати   Нагадати!   Сповістити модератора   Відправити по E-mail
Autoua.netФорумAutoua форум
Додаткова інформація
0 користувачів і 29 що побажали залишитися невідомими читають цей форум.

Модератор:  AlMat, moderator, Amateur 

Роздрукувати всю тему

Права
      Ви не можете створювати нові теми
      Ви не можете відповідати на повідомлення
      HTML дозволений
      UBBCode дозволений

Рейтинг:
Переглядів теми: 4809

Оціните цю тему

Перейти в

Правила конференції | Календар | FAQ | Карта розділу | Мобільна версія